Der Marktgemeinderat des Marktes Offingen hat am 10. März 2025 die Aufstellung des Bebauungsplanes „GE Grabenäcker West“ gemäß § 2 Abs. 1 BauGB beschlossen. Die Aufstellung des Bebauungsplanes erfolgt im Regelverfahren mit Durchführung einer Umweltprüfung.
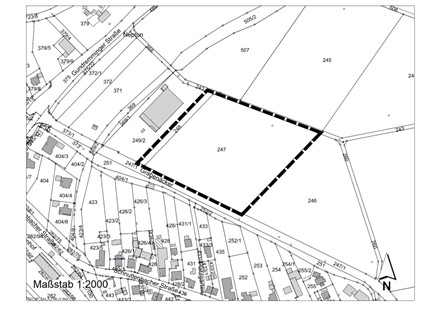
Der räumliche Geltungsbereich ist in beiliegendem Übersichtslageplan dargestellt und umfasst eine Fläche von ca. 20.550 m² zuzüglich externer naturschutzrechtlicher Ausgleichsflächen (ca. 4.700 m²). Der räumliche Geltungsbereich beinhaltet die Grundstücke mit den Fl.-Nrn. 247 und 248, Gemarkung Schnuttenbach sowie die externen naturschutzrechtlichen Ausgleichsflächen Grundstücke Fl.-Nrn. 856 und 857 (jeweils Teilflächen), Gemarkung Offingen.


Anlass für die Aufstellung des Bebauungsplanes ist der Bedarf, geeignete Flächen für die Ansiedlung von Gewerbe zur Verfügung zu stellen. Der Markt trägt mit der Bauleitplanung dem sich ergebenden Bedarf an gewerblichen Bauflächen für ortsansässige Gewerbetreibende Rechnung.
Der Gemeinderat des Marktes Offingen hat in der Sitzung vom 13. April 2026 den Vorentwurf des Bebauungsplanes „GE Grabenäcker West“ in der Fassung vom 13. April 2026, bestehend aus Teil A (Planzeichnung), Teil B (Textliche Festsetzungen und Hinweise) und Teil C (Begründung mit Anlagen und Umweltbericht), gebilligt.
Der Inhalt dieser Bekanntmachung sowie der Vorentwurf des Bebauungsplanes „GE Grabenäcker West“ in der Fassung vom 13. April 2026, bestehend aus Teil A (Planzeichnung), Teil B (textliche Festsetzungen und Hinweise/nachrichtliche Übernahmen) und Teil C (Begründung einschließlich Umweltbericht), werden gemäß § 3 Abs. 1 BauGB
vom Montag, den 20. April 2026 bis einschließlich Dienstag, den 19. Mai 2026,
im Internet unter https://offingen.de/aktuelle-bauleitplanung/ veröffentlicht.
Zusätzlich zur Veröffentlichung im Internet liegen die Planunterlagen während der Veröffentlichungsfrist in der Verwaltungsgemeinschaft Offingen, Marktstraße 19, 89362 Offingen, während der allgemeinen Öffnungszeiten öffentlich aus.
| Montag bis Freitag | 08:00 Uhr bis 12:15 Uhr |
| Montag | 14:00 Uhr bis 16:00 Uhr |
| Donnerstag | 14:00 Uhr bis 18:00 Uhr |
Im Zuge der frühzeitigen Beteiligung der Öffentlichkeit gemäß § 3 Abs. 1 BauGB kann sich die Öffentlichkeit in diesem Zeitraum über die allgemeinen Ziele und Zwecke sowie die wesentlichen Auswirkungen der Planung informieren.
Bevorzugt sind die Stellungnahmen elektronisch per E-Mail an die Verwaltungsgemeinschaft Offingen zu übermitteln. Als Betreff geben Sie bitte an: Bebauungsplan Vorentwurf – GE Grabenäcker West. Bei Bedarf können Stellungnahmen auch schriftlich oder während der Dienststunden zur Niederschrift abgegeben werden.
Nicht fristgerecht abgegebene Stellungnahmen können bei der Beschlussfassung über den Bebauungsplan unberücksichtigt bleiben, wenn der Markt Offingen den Inhalt nicht kannte und nicht hätte kennen müssen und deren Inhalt für die Rechtmäßigkeit des Bebauungsplans nicht von Bedeutung ist.
Folgende umweltrelevanten Informationen sind verfügbar:
| Arten der vorhandenen Informationen | Verfasser | Themen |
| Baugrund- und Altlastengutachten zum Bebauungsplan „GE Grabenäcker West“, Markt Offingen, | Kling Consult GmbH, Krumbach, 12. November 2025 einschließlich 1. Aktualisierung vom 16. Februar 2026 | Geologie und Baugrund, Bautechnik und Gründung, Altlasten und Wasserwirtschaft |
| Schalltechnische Verträglichkeitsuntersuchung zum Vorhabenbezogenen Bebauungsplan „Neubau Lebensmittelmarkt Kr. GZ 28“, Markt Offingen | Ingenieurbüro Greiner, Germering, 23.09.2016 | Gewerbelärm |
| Artenschutzrechtliche Relevanzprüfung zum Bebauungsplan „GE Grabenäcker West“, Markt Offingen | Kling Consult GmbH, Krumbach, 6. März 2026 | Einflüsse auf geschützte Arten nach europäischem Artenschutzrecht |
| Umweltbericht (Bestandteil der Begründung) | Kling Consult GmbH, Krumbach, 13. April 2026 | Mensch; Tiere, Pflanzen und biologische Vielfalt; Fläche; Boden; Wasser; Klima und Luft; Orts- und Landschaftsbild; Sach- und Kulturgüter |
Die diesen Informationen zugrunde liegenden Unterlagen werden ebenfalls veröffentlicht.
Datenschutz:
Die Verarbeitung personenbezogener Daten erfolgt auf der Grundlage der Art. 6 Abs. 1 Buchstabe e (DSGVO) i. V. mit § 3 BauGB und dem BayDSG. Sofern Sie Ihre Stellungnahme ohne Absenderangaben abgeben, erhalten Sie keine Mitteilung über das Ergebnis der Prüfung. Weitere Informationen entnehmen Sie bitte dem Formblatt „Datenschutzrechtliche Informationspflichten im Bauleitplanverfahren“, das ebenfalls öffentlich ausliegt.
Offingen, den 17.04.2026
gez. Thomas Wörz
Erster Bürgermeister